POP

Plateforme ouverte du patrimoine

Maison

Désignation

Dénomination de l'édifice

Maison

Titre courant

Maison

Localisation

Localisation

Nouvelle-Aquitaine ; Charente-Maritime (17) ; La Rochelle ; 4 rue des Gentilshommes

Aire d'étude pour le domaine Inventaire

Rochelle centre (La)

Canton

Rochelle (La) VI

Adresse de l'édifice

Gentilshommes (rue des) 4

Références cadastrales

1976 EN 132 ; 1976 EN 132

Milieu d'implantation pour le domaine Inventaire

En ville

Partie constituante non étudiée

Cour

Historique

Siècle de la campagne principale de construction

18e siècle

Auteur de l'édifice

Description historique

Maison à façade et escalier pouvant dater du 18e siècle.

Description

Matériaux du gros-œuvre

Calcaire ; pierre de taille

Matériaux de la couverture

Tuile creuse

Description de l'élévation intérieure

2 étages carrés ; étage en surcroît

Partie d'élévation extérieure

Élévation ordonnancée

Typologie de couverture

Toit à longs pans ; pignon couvert ; appentis

Emplacement, forme et structure de l’escalier

Escalier hors-oeuvre : escalier tournant, en maçonnerie

Commentaire descriptif de l'édifice

Maison à cour médiane et à corps de bâtiment postérieur. La façade est en pierre de taille et à deux travées. L'escalier en pierre est placé en bordure de la cour.

Technique du décor des immeubles par nature

Sculpture ; ferronnerie

Indexation iconographique normalisée

Coquille ; ornement à forme végétale ; volute

Description de l'iconographie

Fenêtres en façade à clef saillante ornée d'éléments végétaux ou de coquille. Cheminée, à l'étage, à décor végétal. Balcon et garde-corps en ferronnerie ornés de volutes.

Commentaires d'usage régional

Cour médiane latérale,bandeau de niveau.

Statut juridique

Statut juridique du propriétaire

Propriété privée

Références documentaires

Date de l'enquête ou du dernier récolement

2000

Date de rédaction de la notice

2000

Noms des rédacteurs de la notice et du dossier

Mailles Dominique ; Renaud Geneviève

Cadre de l'étude

Typologie du dossier

Dossier individuel

Adresse du dossier Inventaire

Région Nouvelle-Aquitaine - Service du Patrimoine et de l’Inventaire, site de Poitiers - 102, Grand'Rue - 86020 Poitiers - 05.49.36.30.07

1/12
Façade.
Façade.
(c) Région Nouvelle-Aquitaine, Inventaire général du patrimoine culturel
Voir la notice image
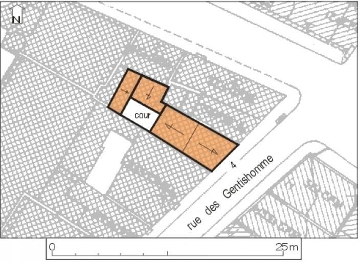
Plan masse, plan schématique des toitures.
Plan masse, plan schématique des toitures.
(c) Région Nouvelle-Aquitaine, Inventaire général du patrimoine culturel
Voir la notice image
Plan schématique du rez-de-chaussée.
Plan schématique du rez-de-chaussée.
(c) Région Nouvelle-Aquitaine, Inventaire général du patrimoine culturel
Voir la notice image
Elévation sur rue.
Elévation sur rue.
(c) Région Nouvelle-Aquitaine, Inventaire général du patrimoine culturel
Voir la notice image
Elévation sur rue, partie supérieure.
Elévation sur rue, partie supérieure.
(c) Région Nouvelle-Aquitaine, Inventaire général du patrimoine culturel
Voir la notice image
Elévation sur rue des deuxième et troisième étages.
Elévation sur rue des deuxième et troisième étages.
(c) Région Nouvelle-Aquitaine, Inventaire général du patrimoine culturel
Voir la notice image
Pièce du premier étage de l'hôtel de ville, cheminée au nord.
Pièce du premier étage de l'hôtel de ville, cheminée au nord.
(c) Région Nouvelle-Aquitaine, Inventaire général du patrimoine culturel
Voir la notice image
Corps de bâtiment est de l'hôtel de ville, pièce de l'étage vue vers l'est.
Corps de bâtiment est de l'hôtel de ville, pièce de l'étage vue vers l'est.
(c) Région Nouvelle-Aquitaine, Inventaire général du patrimoine culturel
Voir la notice image
Corps central de l'hôtel de ville, escalier à l'étage.
Corps central de l'hôtel de ville, escalier à l'étage.
(c) Région Nouvelle-Aquitaine, Inventaire général du patrimoine culturel
Voir la notice image
Corps central de l'hôtel de ville, escalier au rez-de-chaussée.
Corps central de l'hôtel de ville, escalier au rez-de-chaussée.
(c) Région Nouvelle-Aquitaine, Inventaire général du patrimoine culturel
Voir la notice image
Corps de bâtiment ouest de l'hôtel de ville, élévation est sur cour.
Corps de bâtiment ouest de l'hôtel de ville, élévation est sur cour.
(c) Région Nouvelle-Aquitaine, Inventaire général du patrimoine culturel
Voir la notice image
Corps de bâtiment est de l'hôtel de ville, élévation ouest sur cour, partie inférieure.
Corps de bâtiment est de l'hôtel de ville, élévation ouest sur cour, partie inférieure.
(c) Région Nouvelle-Aquitaine, Inventaire général du patrimoine culturel
Voir la notice image