Ministère
de la Culture
POP | Plateforme ouverte du patrimoineville
ville


Référence de la notice
IVR11_19937801237P
Nom de la base
Photographies (Mémoire)
Producteur
Inventaire
Date de création de la notice
4 mars 2005
Photographe
Ayrault, Philippe
Mentions légales
© Inventaire général, ADAGP
Droits de reproduction et de réutilisation
reproduction soumise à autorisation du titulaire des droits d'exploitation
Sujet de la photographie
Description
Édifice
ville
Producteur
Inventaire
Légende
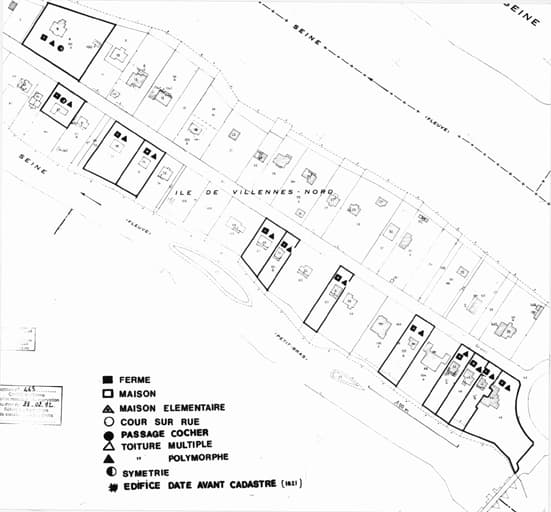
Carte de localisation des zones de repérage.
Titre courant de l'œuvre
ville
Sujet représenté par la photographie ou le document graphique
ville
Domaine
architecture
Localisation
Localisation
France ; Ile-de-France ; Yvelines ; Villennes-sur-Seine
Code INSEE de la commune
78672
Aire d'étude
Poissy périphérie
Auteur
Photographe
Datation et événements liés à l’image
Date de prise de vue
1993