Ministère
de la Culture
POP | Plateforme ouverte du patrimoineMaison
Maison


Référence de la notice
IVR54_20001703254
Nom de la base
Photographies (Mémoire)
Producteur
Inventaire
Date de création de la notice
26 mai 2008
Date de dernière modification de la notice
28 novembre 2022
Photographe
Lambert, Z.
Mentions légales
(c) Région Nouvelle-Aquitaine, Inventaire général du patrimoine culturel
Droits de reproduction et de réutilisation
reproduction soumise à autorisation du titulaire des droits d'exploitation
Sujet de la photographie
Description
Édifice
Maison
Producteur
Inventaire
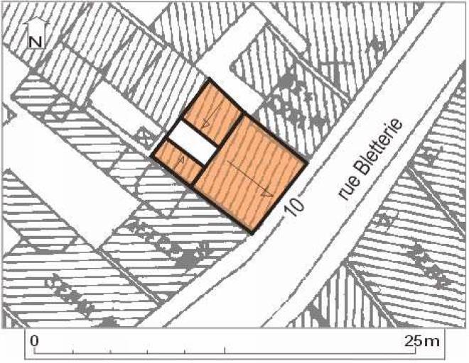
Légende
Plan masse, plan schématique des toitures.
Titre courant de l'œuvre
Maison
Sujet représenté par la photographie ou le document graphique
maison
Domaine
architecture
Localisation
Localisation
France ; Nouvelle-Aquitaine ; Charente-Maritime ; La Rochelle ; Bletterie (rue)
Code INSEE de la commune
17300
Aire d'étude
Rochelle centre (La)
Auteur
Photographe
Datation et événements liés à l’image
Date de prise de vue
2000
Description de la photographie ou du document graphique
Éléments d’identification
Catégorie du phototype
dessin numérique
Numéro du phototype
20001703254NUD
Précision sur la conservation de l'original
Plan de l'équipement.
Description technique du phototype ou du document graphique
Format du négatif
NUD
Description technique de l'original
reprise de fond
Échelle du graphique
0,388888889

Référence de la notice
IVR54_20001703254
Nom de la base
Photographies (Mémoire)
Producteur
Inventaire
Date de création de la notice
26 mai 2008
Date de dernière modification de la notice
28 novembre 2022
Photographe
Lambert, Z.
Mentions légales
(c) Région Nouvelle-Aquitaine, Inventaire général du patrimoine culturel
Droits de reproduction et de réutilisation
reproduction soumise à autorisation du titulaire des droits d'exploitation
Contactez-nousEnvoyer un courriel