Ministère
de la Culture
POP | Plateforme ouverte du patrimoinechartreuse du Val-de-Bénédiction (ancienne)
chartreuse du Val-de-Bénédiction (ancienne)


Référence de la notice
MHR91_20103019128
Nom de la base
Photographies (Mémoire)
Producteur
Conservations régionales des monuments historiques (CRMH)
Date de création de la notice
28 août 2017
Photographe
Grange-Chavanis, Jean-François
Mentions légales
© Monuments historiques
Droits de reproduction et de réutilisation
reproduction soumise à autorisation du titulaire des droits d'exploitation
Sujet de la photographie
Description
Édifice
chartreuse du Val-de-Bénédiction (ancienne)
Producteur
Conservations régionales des monuments historiques (CRMH)
Légende
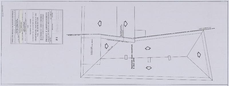
Bâtiment des frères, PAT, projet d'aménagement, plan de toiture du bâtiment des frères. P5.
Titre courant de l'œuvre
chartreuse du Val-de-Bénédiction (ancienne)
Sujet représenté par la photographie ou le document graphique
abbaye
Domaine
architecture
Localisation
Localisation
France ; Languedoc-Roussillon ; Gard ; Villeneuve-lès-Avignon
Code INSEE de la commune
30351
Auteur
Photographe
Datation et événements liés à l’image
Date de prise de vue