POP

Plateforme ouverte du patrimoine

Moulin à blé et filature de lin, puis filature de lin, puis laiterie industrielle, puis chocolaterie, actuellement cidrerie distillerie

Désignation

Dénomination de l'édifice

Moulin à blé ; filature

Précision sur la dénomination de l'édifice - hors lexique

Filature de lin

Destination actuelle de l'édifice

Laiterie industrielle ; chocolaterie ; cidrerie ; distillerie

Titre courant

Moulin à blé et filature de lin, puis filature de lin, puis laiterie industrielle, puis chocolaterie, actuellement cidrerie distillerie

Localisation

Localisation

Normandie ; Calvados (14) ; Le Breuil-en-Auge

Aire d'étude pour le domaine Inventaire

Calvados

Canton

Pont-l'Evêque

Lieu-dit

Château du Breuil

Références cadastrales

1832 A 43, 46 ; 1988 A1 30 à 42

Milieu d'implantation pour le domaine Inventaire

Isolé

Nom du cours d'eau traversant ou bordant l'édifice

Touques (la)

Partie constituante non étudiée

Canal ; bâtiment d'eau ; atelier de fabrication ; salle des machines ; remise ; chai ; pont bascule ; citerne ; château ; logement d'ouvriers ; conciergerie

Historique

Siècle de la campagne principale de construction

17e siècle (détruit) ; 2e quart 19e siècle ; 1er quart 20e siècle (détruit)

Année(s) de(s) campagne(s) de construction

1836

Commentaires concernant la datation

Daté par source ; daté par travaux historiques

Auteur de l'édifice

Description historique

Le moulin à blé est attesté au 17e siècle. Il est reconstruit en 1836 par Chauvel, en même temps qu'une filature de lin. Ces deux établissements sont réglementés par ordonnance royale du 12 février 1838, révisée par arrêté préfectoral du 25 juin 1857. La filature est inactive vers 1920. Le moulin à blé est converti en filature de lin par Antoine Séraphin vers 1866, elle-même transformée en fromagerie vers 1900 par Blondel. Un atelier de scierie, aujourd'hui disparu, est attesté en 1918 par iconographie : il comprenait en 1920 quatre hangars industriels construits rive gauche du canal d'amenée du moulin. La fromagerie cesse son activité en 1925, au profit d'une chocolaterie établie par Schaal. Les bâtiments sont acquis en 1946 par Saffrey pour y installer une cidrerie-distillerie, exploitée après 1954 et jusqu'en 1982 par la société Bizouart. L'établissement a été acquis en 1987 par le groupe suisse Diwisa, spécialisé dans la production de spiritueux et d'eaux-de-vie de fruits. Moulin à blé équipé d'une roue hydraulique animant cinq paires de meules en 1838. Turbine hydraulique, générateur et chaudière de 4, 5 CV pour chauffage de l'eau et séchage, 14 métiers et 112 broches attestés en 1918. Deux appareils de distillation en place, provenant des établissements Prulho (Cognac). 85 ouvriers en 1844, dont 40 femmes et 15 enfants, environ 22 employés en 1995.

Description

Matériaux du gros-œuvre

Brique ; calcaire ; moellon ; essentage d'ardoise ; pan de bois ; calcaire ; pierre de taille ; enduit ; enduit partiel

Matériaux de la couverture

Tôle ondulée ; ardoise ; tuile mécanique ; tuile plate

Description de l'élévation intérieure

5 étages carrés ; étage de comble

Partie d'élévation extérieure

Élévation à travées

Typologie de couverture

Toit à longs pans pignon couvert ; toit à longs pans croupe ; toit à longs pans demi-croupe

Source de l'énergie utilisée par l'édifice

Énergie hydraulique ; produite sur place ; énergie thermique ; produite sur place

Commentaire descriptif de l'édifice

Atelier de fabrication (1), à usage de moulin à blé, à cinq étages carrés surmontés d'un étage de comble, en brique, couvert de tôle ondulée, flanqué de deux bâtiments, l'un à usage de bâtiment d'eau, à un étage carré en brique, couverts d'ardoise. Salle abritant les machines à distiller en rez-de-chaussée en brique, couverte de tuile mécanique. Atelier de fabrication (2), à usage de filature, à deux étages carrés surmontés d'un étage de comble, en brique, couvert d'ardoise. Remises en brique, couvertes d'ardoise. Un logement à un étage carré en brique et essentage d'ardoise, couvert d'ardoise. Un autre ensemble de logements en brique et enduit partiel, à un étage carré ou un étage carré surmonté d'un étage de comble, à toits à longs pans, à croupe ou à demi-croupe en ardoise. Conciergerie en rez-de-chaussée, enduit et pan de bois, à toit à croupe et à demi-croupe en ardoise. Château (parties 16e et 17e siècles) à un étage carré surmonté d'un étage de comble, en brique, calcaire et pan de bois, à toit à croupe en tuile plate. Chais installés en rez-de-chaussée du moulin à blé et dans les dépendances du château. Les façades et toitures du château et de ses dépendances, la porte d'entrée et les douves ont été inscrites sur l'Inventaire supplémentaire des Monuments historiques par arrêté du 9 septembre 1933.

Protection et label

Référence aux objets conservés

IM14002720

Eléments remarquables dans l'édifice

Atelier de fabrication ; machine de production (étudiée dans la base Palissy)

Statut juridique

Statut juridique du propriétaire

Propriété privée

Références documentaires

Date de l'enquête ou du dernier récolement

1992

Date de rédaction de la notice

1992

Noms des rédacteurs de la notice et du dossier

Lecherbonnier Yannick

Typologie du dossier

Dossier individuel

Adresse du dossier Inventaire

Région Normandie – Service Inventaire du patrimoine

1/27
Vue d'ensemble prise de l'est.
Vue d'ensemble prise de l'est.
(c) Région Normandie - Inventaire général
Voir la notice image
Vue d'ensemble prise de l'est.
Vue d'ensemble prise de l'est.
(c) Région Normandie - Inventaire général
Voir la notice image
Cheminée d'usine, vue prise du nord.
Cheminée d'usine, vue prise du nord.
(c) Région Normandie - Inventaire général
Voir la notice image
Bâtiment du moulin, vue prise du sud.
Bâtiment du moulin, vue prise du sud.
(c) Région Normandie - Inventaire général
Voir la notice image
Château. Elévation extérieure est.
Château. Elévation extérieure est.
(c) Région Normandie - Inventaire général
Voir la notice image
Bâtiment de la filature. Elévation extérieure est.
Bâtiment de la filature. Elévation extérieure est.
(c) Région Normandie - Inventaire général
Voir la notice image
Remise de la filature. Vue prise du sud.
Remise de la filature. Vue prise du sud.
(c) Région Normandie - Inventaire général
Voir la notice image
Logements d'ouvriers. Vue prise de l'est.
Logements d'ouvriers. Vue prise de l'est.
(c) Région Normandie - Inventaire général
Voir la notice image
Conciergerie. Vue prise de l'est.
Conciergerie. Vue prise de l'est.
(c) Région Normandie - Inventaire général
Voir la notice image
Logements d'ouvriers. Vue prise du nord.
Logements d'ouvriers. Vue prise du nord.
(c) Région Normandie - Inventaire général
Voir la notice image
Remise du moulin. Elévation extérieure est.
Remise du moulin. Elévation extérieure est.
(c) Région Normandie - Inventaire général
Voir la notice image
Château. Elévation extérieure sud.
Château. Elévation extérieure sud.
(c) Région Normandie - Inventaire général
Voir la notice image
Feuille de plan et nivellement à joindre aux propositions relatives en autorisation, présentées le 19 mars 1834 par M. Chauvel pour l'établissement d'un moulin à blé sur la rivière de Touques dans la commune du Breuil.- Plan, 25 février 1837. (AD Calvados. S 12805b).
Feuille de plan et nivellement à joindre aux propositions relatives en autorisation, présentées le 19 mars 1834 par M. Chauvel pour l'établissement d'un moulin à blé sur la rivière de Touques dans la commune du Breuil.- Plan, 25 février 1837. (AD Calvados. S 12805b).
(c) Région Normandie - Inventaire général
Voir la notice image
Vignette illustrant un papier à lettres à en-tête.- Papier à lettre, 1918. (AD Calvados. S 12805b).
Vignette illustrant un papier à lettres à en-tête.- Papier à lettre, 1918. (AD Calvados. S 12805b).
(c) Région Normandie - Inventaire général
Voir la notice image
Vignette illustrant un papier à lettres à en-tête. Détail : bâtiment du moulin.- Papier à lettre, 1918. (AD Calvados. S 12805b).
Vignette illustrant un papier à lettres à en-tête. Détail : bâtiment du moulin.- Papier à lettre, 1918. (AD Calvados. S 12805b).
(c) Région Normandie - Inventaire général
Voir la notice image
Usine de M. Chauvel. Plan général, plan de détail, projets en long et en travers.- Plan d'ensemble, 1/2500e, par Sallebert, ingénieur ordinaire, 14 avril 1857. (AD Calvados. S 12805b).
Usine de M. Chauvel. Plan général, plan de détail, projets en long et en travers.- Plan d'ensemble, 1/2500e, par Sallebert, ingénieur ordinaire, 14 avril 1857. (AD Calvados. S 12805b).
(c) Région Normandie - Inventaire général
Voir la notice image
Usine de M. Chauvel. Plan général, plan de détail, projets en long et en travers.- Plan de détail, 1/200e, par Sallebert, ingénieur ordinaire, 14 avril 1857. (AD Calvados. S 12805b).
Usine de M. Chauvel. Plan général, plan de détail, projets en long et en travers.- Plan de détail, 1/200e, par Sallebert, ingénieur ordinaire, 14 avril 1857. (AD Calvados. S 12805b).
(c) Région Normandie - Inventaire général
Voir la notice image
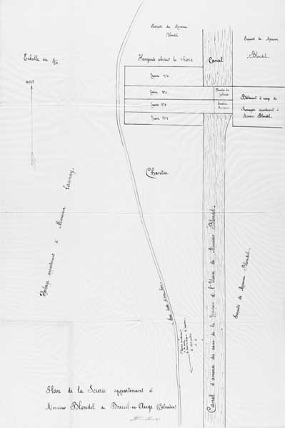
Plan de la scierie appartenant à M. Blondel du Breuil-en-Auge, Calvados.- Plan, s.d., 1920. (AD Calvados. Z 2063).
Plan de la scierie appartenant à M. Blondel du Breuil-en-Auge, Calvados.- Plan, s.d., 1920. (AD Calvados. Z 2063).
(c) Région Normandie - Inventaire général
Voir la notice image
Vannages, vue du sud-ouest.
Vannages, vue du sud-ouest.
(c) Région Normandie - Inventaire général
Voir la notice image
Vannages, vue du sud-ouest.
Vannages, vue du sud-ouest.
(c) Région Normandie - Inventaire général
Voir la notice image
Vannages, vue du sud-ouest.
Vannages, vue du sud-ouest.
(c) Région Normandie - Inventaire général
Voir la notice image
Bâtiment du moulin. Elévations extérieures sud.
Bâtiment du moulin. Elévations extérieures sud.
(c) Région Normandie - Inventaire général
Voir la notice image
Bâtiment du moulin. Elévations extérieures sud et est.
Bâtiment du moulin. Elévations extérieures sud et est.
(c) Région Normandie - Inventaire général
Voir la notice image
Bâtiment du moulin. Elévations extérieures sud et est.
Bâtiment du moulin. Elévations extérieures sud et est.
(c) Région Normandie - Inventaire général
Voir la notice image
Le Breuil-en-Auge. Actuellement cidrerie distillerie. Bâtiment d'eau du moulin et salle abritant les machines à distiller. ; Bâtiment d'eau du moulin et salle abritant les machines à distiller. Elévations extérieures sud.
Le Breuil-en-Auge. Actuellement cidrerie distillerie. Bâtiment d'eau du moulin et salle abritant les machines à distiller. ; Bâtiment d'eau du moulin et salle abritant les machines à distiller. Elévations extérieures sud.
(c) Région Normandie - Inventaire général
Voir la notice image
Bâtiment du moulin. Elévations extérieures sud et est.
Bâtiment du moulin. Elévations extérieures sud et est.
© Région Basse-Normandie - Inventaire général
Voir la notice image
Bâtiment d'eau du moulin et salle abritant les machines à distiller. Elévations extérieures sud.
Bâtiment d'eau du moulin et salle abritant les machines à distiller. Elévations extérieures sud.
© Région Basse-Normandie - Inventaire général
Voir la notice image