POP

Plateforme ouverte du patrimoine

Moulin à farine dit moulin Galmiche

Désignation

Dénomination de l'édifice

Moulin à farine

Titre courant

Moulin à farine dit moulin Galmiche

Localisation

Localisation

Bourgogne-Franche-Comté ; Haute-Saône (70) ; Saint-Bresson

Précision sur la localisation

Anciennement région de : Franche-Comté

Aire d'étude pour le domaine Inventaire

Haute-Saône

Canton

Faucogney-et-la-Mer

Lieu-dit

Prés Benons (les)

Références cadastrales

1826 B 551 à 554 ; 2005 B 286

Milieu d'implantation pour le domaine Inventaire

En écart

Nom du cours d'eau traversant ou bordant l'édifice

Bruand (ruisseau de la fontaine)

Partie constituante non étudiée

Logement ; atelier de fabrication ; conduite forcée ; bâtiment d'eau ; bassin de retenue

Historique

Siècle de la campagne principale de construction

1er quart 19e siècle ; 3e quart 19e siècle

Année(s) de(s) campagne(s) de construction

1865

Commentaires concernant la datation

Daté par tradition orale ; porte la date

Description historique

Le moulin à farine a vraisemblablement été établi dans le 1er quart du 19e siècle. Il appartient en 1826 à Pierre-Joseph Levrey, et aurait été réglementé en 1860. La clé de l'arcade de la grange porte le millésime 1865. Le moulin, propriété du sieur Meunier, est repris par Arthur Galmiche vers 1920. La roue hydraulique a été remplacée par une turbine en 1927. La production de farine a cessé vers 1950. Ce petit moulin constitue l'annexe d'une exploitation agricole, au même titre qu'un petit atelier de menuiserie et de charronnage, dont les machines sont encore en place. Des trois paires de meules, encore présentes, l'une servait à broyer la farine, la seconde les céréales secondaires (avoine, orge) et la troisième le sarrasin (blé noir). Outre les trois paires de meules du moulin, l'atelier de menuiserie renferme en 2005 un tour à bois, une scie à ruban François Dolo (Besançon, 25), un polissoir, une dégauchisseuse, une machine à toupiller, une scie, le tout mis en mouvement par une turbine.

Description

Matériaux du gros-œuvre

Grès ; enduit ; moellon

Matériaux de la couverture

Tuile mécanique

Description de l'élévation intérieure

Étage de soubassement ; 1 étage carré

Typologie de couverture

Toit à longs pans

Source de l'énergie utilisée par l'édifice

Énergie hydraulique ; produite sur place ; turbine hydraulique

Commentaire descriptif de l'édifice

Le moulin, bâti en moellon de grès enduit, est adossé au pignon ouest du corps de ferme. Le rez-de-chaussée abrite le beffroi du moulin et l'étage carré les appareils de mouture. La conduite forcée, enterrée, longe le corps de ferme jusqu'au bâtiment d'eau renfermant la turbine.

État de conservation (normalisé)

Établissement industriel désaffecté

Statut juridique

Statut juridique du propriétaire

Propriété privée

Références documentaires

Date de l'enquête ou du dernier récolement

2005

Date de rédaction de la notice

2005

Noms des rédacteurs de la notice et du dossier

Favereaux Raphaël

Typologie du dossier

Dossier individuel

Adresse du dossier Inventaire

Conseil régional de Franche-Comté - Direction de l'Inventaire du patrimoine 4, square Castan 25031 Besançon Cedex - 03.81.65.72.10

1/6
Carte de localisation. Carte topographique au 1:25000, I.G.N., Remiremont, 3519 OT. SCAN 25 © IGN - 2008, Licence n°2008CISE29-68.
Carte de localisation. Carte topographique au 1:25000, I.G.N., Remiremont, 3519 OT. SCAN 25 © IGN - 2008, Licence n°2008CISE29-68.
(c) Région Bourgogne-Franche-Comté, Inventaire du patrimoine ; SCAN 25 © IGN - 2008, Licence n°2008CISE29-68.
Voir la notice image
Le moulin et la ferme depuis l'entrée.
Le moulin et la ferme depuis l'entrée.
(c) Région Bourgogne-Franche-Comté, Inventaire du patrimoine
Voir la notice image
Atelier de fabrication du moulin vu depuis l'ouest.
Atelier de fabrication du moulin vu depuis l'ouest.
(c) Région Bourgogne-Franche-Comté, Inventaire du patrimoine
Voir la notice image
L'étage des meules.
L'étage des meules.
(c) Région Bourgogne-Franche-Comté, Inventaire du patrimoine
Voir la notice image
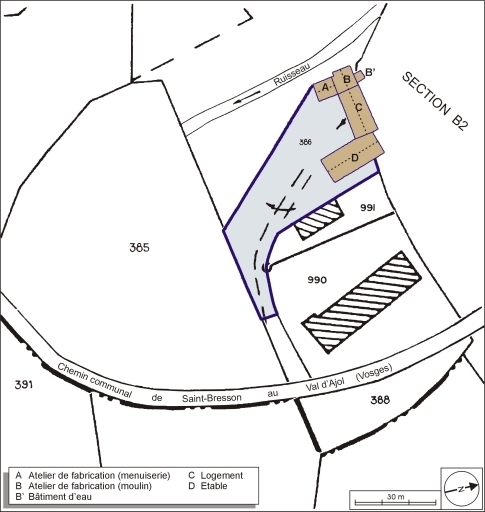
Plan-masse et de situation. Extrait du plan cadastral numérisé, 2005, section B, 1:2500 agrandi à 1:1000.
Plan-masse et de situation. Extrait du plan cadastral numérisé, 2005, section B, 1:2500 agrandi à 1:1000.
(c) Région Bourgogne-Franche-Comté, Inventaire du patrimoine
Voir la notice image
Le beffroi du moulin.
Le beffroi du moulin.
(c) Région Bourgogne-Franche-Comté, Inventaire du patrimoine
Voir la notice image