Ministère
de la Culture
POP | Plateforme ouverte du patrimoinemoulin à farine puis scierie hydraulique à cadre avec logement dite Scierie de Brouaumont
moulin à farine puis scierie hydraulique à cadre avec logement dite Scierie de Brouaumont






Référence de la notice
IA88001777
Nom de la base
Patrimoine architectural (Mérimée)
Producteur
Inventaire
Date de création de la notice
19 octobre 2012
Date de dernière modification de la notice
21 septembre 2020
Rédacteur de la notice
Jean-Yves Henry
Mentions légales
© Région Lorraine - Inventaire général
Désignation de l'édifice
Titre courant
moulin à farine puis scierie hydraulique à cadre avec logement dite Scierie de Brouaumont
Appellation d'usage
Scierie de Brouaumont
Producteur
Inventaire
Dénomination de l'édifice
moulin à farine ; scierie ; maison
Précision sur la typologie de l'édifice
scierie hydraulique à cadre
Localisation au moment de la protection ou de l'étude
Localisation
Grand Est ; Vosges (88) ; La Houssière ; chemin de Brouaumont ; Brouaumont
Précision sur la localisation
Anciennement région de : Lorraine
Aire d'étude pour le domaine de l'Inventaire
Vosges
Canton
Corcieux
Lieu-dit
Brouaumont
Adresse de l'édifice
Brouaumont (chemin de)
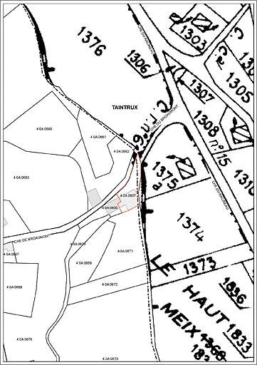
Références cadastrales
2010 806, 807 ; 1832 ???
Milieu d'implantation pour le domaine de l'Inventaire