Ministère
de la Culture
POP | Plateforme ouverte du patrimoinescierie hydraulique de Vanifosse
scierie hydraulique de Vanifosse






Référence de la notice
IA88001783
Nom de la base
Patrimoine architectural (Mérimée)
Producteur
Inventaire
Date de création de la notice
19 octobre 2012
Date de dernière modification de la notice
21 septembre 2020
Rédacteur de la notice
Jean-Yves Henry
Mentions légales
© Région Lorraine - Inventaire général
Désignation de l'édifice
Titre courant
scierie hydraulique de Vanifosse
Appellation d'usage
Scierie de Vanifosse
Producteur
Inventaire
Dénomination de l'édifice
scierie
Précision sur la typologie de l'édifice
scierie hydraulique à cadre
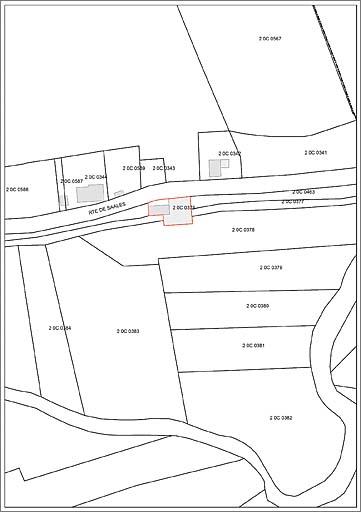
Localisation au moment de la protection ou de l'étude
Localisation
Grand Est ; Vosges (88) ; Pair-et-Grandrupt ; route de Saales ; Vanifosse
Précision sur la localisation
Anciennement région de : Lorraine
Aire d'étude pour le domaine de l'Inventaire
Vosges
Canton
Saint-Dié-Est
Lieu-dit
Vanifosse
Adresse de l'édifice
Saales (route de)
Références cadastrales
2011 C 376
Milieu d'implantation pour le domaine de l'Inventaire
en écart