Ministère
de la Culture
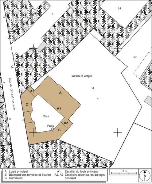
POP | Plateforme ouverte du patrimoineHôtel Querret
Hôtel Querret


Référence de la notice
PA25000041
Nom de la base
Patrimoine architectural (Mérimée)
Producteur
Monuments historiques
Date de création de la notice
26 août 2005
Date de dernière modification de la notice
28 novembre 2025
Mentions légales
(c) Monuments historiques. Cette notice reprend intégralement les termes de l’arrêté de protection au titre des Monuments historiques. Elle répond à l’obligation réglementaire du ministère de la Culture d’établir la liste générale des immeubles protégés (art. R. 621-80 du Code du patrimoine). Elle est donc opposable et fait foi juridiquement. Aucune copie numérique ou papier ne sera fournie par courrier ni courriel. Le dossier de protection complet et l’arrêté sont consultables uniquement sur place, dans la salle de lecture de la Médiathèque du patrimoine et de la photographie (MPP), à Charenton-le-Pont (Val-de-Marne).
Désignation de l'édifice
Titre courant
Hôtel Querret
Producteur
Monuments historiques
Dénomination de l'édifice
hôtel
Localisation au moment de la protection ou de l'étude
Localisation
Bourgogne-Franche-Comté ; Doubs (25) ; Besançon ; 7 rue du Général-Lecourbe
Précision sur la localisation
Anciennement région de : Franche-Comté
Adresse de l'édifice
Général-Lecourbe (rue du) 7
Références cadastrales
AP 31
Milieu d'implantation pour le domaine de l'Inventaire
en ville
Historique de l'édifice
Siècle de campagne principale de construction
Année(s) de(s) campagne(s) de construction
1781
Description historique